Ο τυφώνας Μελίσα έφτασε στην Τζαμάικα «στα νοτιοδυτικά [της χώρας] , κοντά στο Νιου Χόουπ, με συνεχείς ανέμους που εκτιμώνται σε 295 χλμ./ώρα », ανακοίνωσε το Εθνικό Κέντρο Τυφώνων των ΗΠΑ (NHC).
Είναι ο ισχυρότερος τυφώνας που έχει πλήξει ποτέ τη χώρα της Καραϊβικής.
Οι εξαιρετικά ισχυροί άνεμοι και οι συνεχιζόμενες καταρρακτώδεις βροχές του Melissa έχουν προκαλέσει ανησυχία στους κατοίκους, καθώς πολλοί δεν κατάφεραν να μετακινηθούν σε ασφαλέστερες περιοχές.
Αυτός ο τυφώνας κατηγορίας 5, ο υψηλότερος στην κλίμακα Σαφίρ-Σίμπσον, θα μπορούσε να πλήξει τουλάχιστον 1,5 εκατομμύριο ανθρώπους, είχε προειδοποιήσει προηγουμένως ο Ερυθρός Σταυρός.
Έχει ήδη στοιχίσει τη ζωή σε τρεις ανθρώπους στην Τζαμάικα, τρεις στην Αϊτή και έναν στη Δομινικανή Δημοκρατία. Τώρα είναι πιο ισχυρός από τον τυφώνα Κατρίνα , ο οποίος κατέστρεψε τη Νέα Ορλεάνη πριν από 20 χρόνια.
«Ωστόσο, αυτός ο αριθμός [των 1,5 εκατομμυρίων] είναι μια σημαντική υποεκτίμηση, καθώς ο αντίκτυπος στον πληθυσμό θα περιλαμβάνει διαταραχές σε βασικές υπηρεσίες, διαταραχές στις αγορές και, φυσικά, αποκλεισμούς δρόμων. Αυτό σημαίνει ότι ολόκληρος ο πληθυσμός θα μπορούσε να επηρεαστεί με τον έναν ή τον άλλον τρόπο », πρόσθεσε.
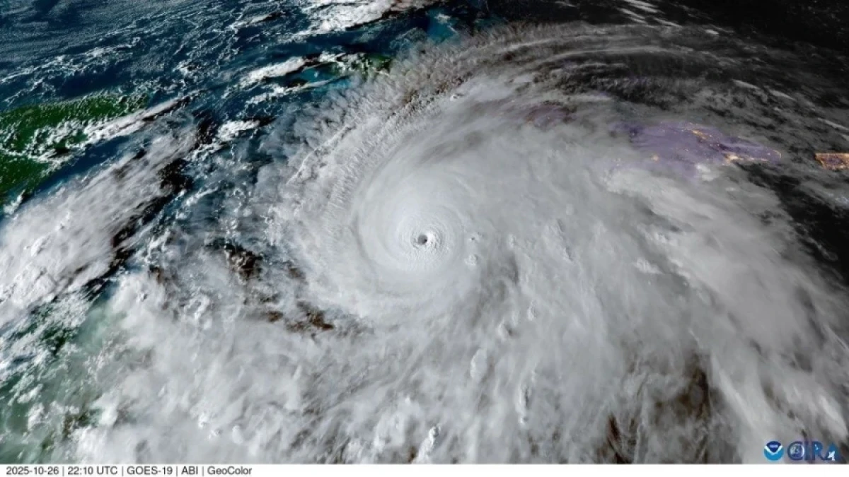
Μέσα στο μάτι του τυφώνα «Μελίσσα»
Βίντεο δείχνει το «μάτι του τέρατος» του τυφώνα «Μελίσσα».

Κάντε like στη σελίδα μας στο facebook για να μαθαίνετε όλα τα νέα